 
                车东西(公众号:chedongxi)
 作者 | 迩言 
 编辑 | 志豪
百度系智驾大牛或再收获1个上市公司!国内第四大激光雷达厂商递表。
车东西2月14日消息,据港交所披露,图达通将以借壳上市的形式登陆港股。招股书显示,图达通在本次并购交易中的议定估值为117亿港元(约合人民币109亿元)。

▲图达通港交所借壳上市
一旦图达通成功上市,或将成为继禾赛科技和速腾聚创之后,国内第三家上市的激光雷达公司。
图达通是一家图像级激光雷达及解决方案提供商,在硅谷、苏州和上海设有研发中心,由鲍君威和李义民与2016年创立,这二人都是70后,也是北京大学的校友,并且都曾就职于百度,辞职后共同创立了图达通。

▲图左为图达通CEO鲍君威,图右为图达通CTO李义民
这两位70后北大学霸带队的图达通,有望成为百度系智驾大牛创立的第四大智驾上市公司。

▲百度系智驾大牛创业公司上市及待上市情况汇总
而提到图达通,这家企业总绕不开“蔚来”这个标签。2024年前三季度蔚来贡献营收占比占据超9成。此外,企查查显示,蔚来资本早在2018年就对其进行了投资,迄今共进行了三轮投资。

▲蔚来资本投资图达通三轮
即使有蔚来这个大客户坐镇,图达通近三年依旧面临极大的盈利压力,不足三年时间,其累计亏损超过25亿元,截至今年1月底,账上仅剩下2亿资金。
在激光雷达降本、重投资的当下,图达通依然面临诸多挑战。
一、国内第四大激光雷达厂商 不到三年净亏25亿
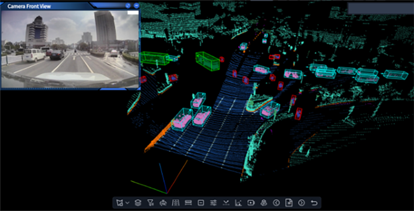
根据市场研究机构Yole Group发布的题为《车载激光雷达2024》的报告,作为全球图像级激光雷达解决方案提供商,图达通在2023年出货量超过15万台,占据了19%的市场份额,位居全球第三。
前两名分别是禾赛科技(37%)、速腾聚创(21%)。
而按照高工智能汽车统计的,中国市场(不含进出口)乘用车前装标配激光雷达交付数据,图达通排在第四位,占据市场份额13.43%。
前三名分别是速腾聚创(32.57%)、华为(27.71%)、禾赛科技(26.22%)。
从具体业绩来看,图达通递交的招股书显示,近三年来该公司营收持续增长。
2022年、2023年该公司分别实现营收6630万美元(约合人民币4.8亿元)、1.21亿美元(约合人民币8.79亿元),增长率为82.7%。2024年前三季度其收入更是达到1.19亿美元(约合人民币8.64亿元),同比增长40.0%。

▲图达通近3年业绩情况
不过,图达通亏损状况严峻,距离实现扭亏为盈还需要一定时间。
2022年、2023年及2024年前三季度,图达通净亏损分别为1.9亿美元(约合人民币13.8亿元)、2.2亿美元(约合人民币16.00亿元)、1.3亿元(约合人民币9.45亿元)。
同期,图达通实现经调整净亏损分别为1.43亿美元(约合人民币10.38亿元)、1.37亿美元(约合人民币9.94亿元)及7617万美元(约合人民币5.54亿元)。
短短不到三年时间,图达通经调整净亏损达到25.86亿元。
对于亏损原因,公告披露,由于在新兴市场经营、不断投资于研发及产品开发、创新产品供应链建立,图达通产生了庞大开支。
也因此,图达通亟需资金“输血”,且在营运资本方面,其目前的资金储备相比于巨大的净亏损总额来说,已经非常薄弱。截至2025年1月31日,图达通的现金及其等价物为3311万美元(约合人民币2.41亿元)。
截至同期,流动负债总额为1.16亿美元(约合人民币8.43亿元),流动资产净值为28万美元(约合人民币203.6万元)。
从研发开支上看,图达通近三年研发开支整体上呈现削减趋势。
2022年、2023年以及截至2023年及2024年9月30日止九个月的研发支出分别为7810万美元(约合人民币5.68亿元)、6380万美元(约合人民币4.64亿元)、4580万美元(约合人民币3.33亿元)、3220万美元(约合人民币2.34亿元)。
图达通的研发活动始于美国硅谷,为了充分利用中美两国的人才优势,其研发已扩展到中国。
截至2024年9月30日,图达通在中国拥有254名全职研发人员,其中44.5%拥有硕士或以上学位,平均工作经验超过9年。而在美国,图达通也有超过27名研发人员,其中绝大多数拥有硕士或以上学位,平均工作经验超过17年。
二、蔚来贡献营收超9成 激光雷达跳水促使毛利走低
产品方面,图达通于2022年开始量产及交付激光雷达解决方案。
截至2024年前三季度,图达通的营收主要通过销售激光雷达解决方案取得,其方案主要包括猎鹰系列激光雷达解决方案、灵雀系列激光雷达解决方案、捷豹系列激光雷达解决方案及其他(主要包括软件销售、电子材料销售及工程服务)。

▲图达通各激光雷达系列方案
值得关注的是,图达通2024年前9个月来自猎鹰系列收入1.16亿美元(约合人民币8.43亿元),占比97.7%;来自灵雀系列收入225万美元(约合人民币1636万元),占比1.9%;捷豹系列在2024年未能贡献收入。

▲图达通各激光雷达系列方案近三年营收情况
虽然图达通猎鹰系列贡献超九成的营收,但是该业务一直呈现亏损状况,只不过幅度有所收窄。
2022年、2023年、2024年前三季度猎鹰系列的毛利率分别为-64.6%、-36.2%及-15.7%;毛损分别为-4203.6万美元(约合人民币3.05亿元)、-4296.4万美元(约合人民币3.12亿元)及-1813.7万元(约合人民币1.32亿元)。

▲图达通各激光雷达近三年毛损、毛利率变化
而这也跟图达通激光雷达跳水式降价有关。
招股书显示,期内猎鹰的销量分别为7.4万台、14.78万台及16.47万台,销量增长明显;同期该产品的平均售价分别为879美元(约合人民币6386元)、804美元(约合人民币5841元)及703美元(约合人民币5107元),价格却一路走低。

▲图达通各激光雷达近三年销量和平均售价变化
主要客户方面,图达通的客户包括主机厂及ADAS或ADS公司,如蔚来、深向、嬴彻科技及陕重汽。
截至最后实际可行日期,图达通向主机厂交付总计超过39.1万套车规级激光雷达解决方案。
此外,图达通已获得另外六家主机厂及ADAS或ADS公司(包括宏景智驾、挚途科技、PonyAI及中国另外三家分别专注于商用车、乘用电动汽车及网约车出行服务的公司)的赢单设计,这些公司已选择将图达通的激光雷达解决方案集成到其货运及物流应用以及商用车应用的ADAS中。
值得注意的是,图达通对当前最大客户蔚来依赖性较强。
2022年、2023年及截至2024年前三季度,图达通来自蔚来的收入分别为5880万美元(约合人民币4.28亿元)、1.1亿美元(约合人民币8亿元)及1.1亿美元(约合人民币8亿元),分别占同期图达通总收入的88.7%、90.6%及92.4%。截至2024年前三季度,蔚来已在其九款车型上采用其激光雷达解决方案。
三、109亿估值独角兽“曲线”上市 李斌持股超10%
据企查查数据显示,图达通自创立以来就经历了4轮投资,其背后投资者包括了蔚来资本、淡马锡、富达投资、高榕创投、斯道资本、华创资本、愉悦资本、BAI资本、顺为资本、国泰君安创投、F-Prime Capital、均胜电子等多家知名机构。

▲图达通成立以来融资情况
在本次并购交易中,图达通的议定估值为117亿港元(约合人民币109亿元)。
合并完成后,继承公司董事会将由5名董事组成,分别是执行董事图达通创始人鲍君威和李义民,独立非执行董事陈长龄、Costas John Spanos、Maximilian Ibel。
从公告中的股权结构显示,本次并购交易完成后,图达通创始人鲍君威博士通过Phthalo Blue LLC及High Altos Limited合计持股12.66%,鲍君威为单一最大股东。
图达通创始人、CEO鲍君威,今年52岁,于1996年7月在中国获得北京大学物理学学士学位,曾是百度自动驾驶事业部总监。

▲图达通的创始人兼CEO鲍君威(图源网络)
图达通另一位创始人、CTO李义民,持股1.69%。他今年55岁,于1991年7月及1996年7月获得中国北京大学电子与信息系统学士学位和量子电子博士学位,曾是百度自动驾驶事业部传感器技术团队负责人。

▲图达通的创始人兼CTO李义民
而Enlightning Limited持股1.08%;委托股东持股1.06%;其他现有目标公司股东持股69.52%;PIPE投资者持股4.06%;TechStar发起人持股1.84%;TechStar A类股东持股8.09%。值得注意的是,蔚来汽车CEO李斌也出现在股权名单中,持股10.9%。

▲图达通股权列表中李斌持股10.9%
官方招股书还显示,合并完成后所得款项净额估计约为4.74亿港元(约合人民币4.42亿)。
图达通列出所得款项净额的拟定用途:
所募得资金约60%或2.84亿元(约合人民币2.65亿)将用于研发新激光雷达架构、硬件及软件升级。
所募得资金约20%或0.95亿港元(约合人民币0.89亿)将用于建设自营生产设施及升级现有生产线。图达通计划升级现有生产线,以支持下一代激光雷达解决方案硬件的量产。
所募得资金约10%或0.47亿港元(约合人民币0.44亿)将用于全球扩张。
所募得资金约10%或0.47亿港元(约合人民币0.44亿)将用于一般公司用途,其可能包括营运资金需求及潜在战略投资及收购。
结语:图达通寻求快速发展
激光雷达是一个十分考验研发能力和资本积累的行业。
从招股书上看,图达通接下来的研发活动仍然需要更多的资金支持,在这种情况下,寻求外部资本注入十分必要。
在持续增长的市场前景下,国内第四大激光雷达企业图达通有望享受行业增长红利,不过在整个激光雷达行业价格跳水的情况下,图达通仍面临挑战。
 
         
         
                 
                     
                                 
                                 
                                 
                                 
                                 
             
                 
                    